El huracán Henri acelera la velocidad en su avance hacia el noreste de EE.UU.

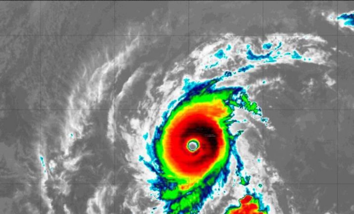
El huracán de categoría 1 Henri avanza este sábado a 18 millas por hora (30 km/h) y con vientos máximos sostenidos de 75 millas por hora (120 km por hora) hacia la costa del noreste de EE.UU., donde se espera que toque tierra el domingo. Henri, el tercer huracán del 2021 en la cuenca atlántica, […]

•‎

3 minutos de lectura
whatsapp-image-2021-08-13-at-3-05-601_6047136_20210821170221

user-dev

Redacción ED.

user-dev

Redacción ED.

sebastianpencas@gmail.com

El huracán de categoría 1 Henri avanza este sábado a 18 millas por hora (30 km/h) y con vientos máximos sostenidos de 75 millas por hora (120 km por hora) hacia la costa del noreste de EE.UU., donde se espera que toque tierra el domingo.

Henri, el tercer huracán del 2021 en la cuenca atlántica, tiene en alerta a millones de personas que viven en la zona donde se producirá el impacto, poco acostumbradas a la llegada de ciclones.

Los meteorólogos del Centro Nacional de Huracanes (NHC) de EE.UU. pronostican que puede tocar tierra el domingo en algún punto costero entre Long Island (Nueva York) y Westport (Massachusetts), incluyendo la isla Block.

Toda la zona, que abarca también partes del litoral de los estados de Connecticut y Rhode Island, está bajo advertencia de huracán y las autoridades han ordenado algunas evacuaciones.

Según el NHC de EE.UU., las zonas del estado de Nueva York y del sur de Nueva Inglaterra amenazadas por Henri podrán sentir sus efectos, en forma de marejada ciclónica y lluvias intensas con riesgo de inundaciones, hoy mismo.

A las 17.00 horas (22.00 GMT), Henri estaba localizado unas 240 millas (390 Km) al este-noreste del cabo Hatteras (Carolina del Norte) y unas 335 millas (535 km) al sur de punta Montauk (Nueva York).

El NHC emitió alertas específicas por la marejada ciclónica que puede producir Henri, con riesgo de subida del nivel del mar de hasta 5 pies (1,50 metros) en algunos puntos de la costa.

Según el medio de información meteorológica Accuweather, desde hace 36 años no ha habido una tormenta con nombre que pueda tocar tierra tan al norte de la costa este de EE.UU.

En 2012 llegó a la ciudad de Nueva York Sandy con devastadores resultados, pero no tocó Nueva Inglaterra, como se denomina la región del noreste de EE.UU. ahora amenazada junto con la costa neoyorquina a partir de Long Island.

Henri se nueve actualmente en dirección norte-noreste y va a seguir así hasta que el domingo gire hacia el norte-noroeste a una velocidad más lenta antes de tocar tierra.

Los vientos se van a fortalecer lo que queda del día, pero pueden debilitarse luego un poco antes de tocar tierra.

Los vientos con fuerza de huracán se extienden hasta 45 millas (75 km) del centro de Henri y los de tormenta tropical hasta 150 millas (240 km).

Además de la marejada ciclónica, que en combinación con la marea puede causar inundaciones en determinadas zonas del litoral, Henri producirá vientos y lluvias fuertes y algún tornado en Nueva Inglaterra.

El NHC advirtió del riesgo de inundaciones repentinas y el desbordamiento de ríos en la zona donde impactará. EFE

SÚMATE AL NEWSLETTER

Recibe todos los días el ranking de las noticias más importantes.

ÚLTIMAS NOTICIAS

Edición impresa

ÚNETE A NUESTRO CANAL DE WHATSAPP

¡Noticias al instante!

Entérate de lo más importante, al momento.

ÚNETE A NUESTRO CANAL DE WHATSAPP

¡Noticias al instante!

Entérate de lo más importante, al momento.

ÚLTIMAS NOTICIAS

Edición impresa

Noticias en la web

SÚMATE AL NEWSLETTER

Recibe todos los días el ranking de las noticias más importantes.

Edición impresa

ÚNETE A NUESTRO CANAL DE WHATSAPP

¡Noticias al instante!

Entérate de lo más importante, al momento.

1$us/mes

No te pierdas nada OFERTA RELÁMPAGO